#Ταϊβάν

ΗΠΑ: Εγκρίνουν την πώληση ανταλλακτικών και ραντάρ για αεροσκάφη F-16 στην Ταϊβάν 

ProtoThema.gr
Η πώληση θα βελτιώσει τη δυνατότητα του στρατού της Ταϊβάν «να αντιμετωπίσει τρέχουσες και μελλοντικές απειλές διατηρώντας την επιχειρησιακή ετοιμότητα του στόλου της των F-16
05:45 30/11/2024

ΗΠΑ: Ετοιμάζεται για κρίση στην Ταϊβάν – Σχέδιο ανάπτυξης στρατευμάτων στην Ιαπωνία

in.gr
Οι ΗΠΑ καταρτίζουν σχέδια για πιθανή κρίση στην Ταϊβάν
06:10 25/11/2024

Οι ΗΠΑ καταρτίζουν σχέδια που προβλέπουν ανάπτυξη στρατού στην Ιαπωνία σε περίπτωση κρίσης στην Ταϊβάν

ProtoThema.gr
Τα σενάρια αυτά θα ενσωματωθούν στο πρώτο κοινό επιχειρησιακό σχέδιο που αναμένεται να καταρτιστεί τον Δεκέμβριο, σύμφωνα με το πρακτορείο Kyodo
05:45 25/11/2024

Συνάντηση Μπάιντεν – Σι Τζινπίνγκ για δασμούς και Ταϊβάν

in.gr
Ο Τζο Μπάιντεν και ο Σι θα συζητήσουν στο περιθώριο του φόρουμ Οικονομικής Συνεργασίας Ασίας-Ειρηνικού στη Λίμα του Περού
16:55 16/11/2024

Η επίθεση της Κίνας στη γκρίζα ζώνη της Ταϊβάν γυρίζει μπούμερανγκ

militaire.gr
Ουάσιγκτον και Ταϊπέι πρέπει να προετοιμαστούν για περαιτέρω κλιμάκωση. Στα μέσα Οκτωβρίου, η Κίνα διεξήγαγε έναν ακόμη γύρο στρατιωτικών ασκήσεων μεγάλης κλίμακας στα Στενά της Ταϊβάν, συμπεριλαμβανομένης της εξάσκησης αποκλεισμού των λιμανιών της Ταϊβάν. Αυτή τη φορά, το έναυσμα ήταν μια σειρά από ασήμαντα σχόλια του Ταϊβανέζου προέδρου Λάι Τσινγκ-τε με αφορμή την Εθνική Ημέρα της Ταϊβάν λίγες ημέρες πριν. Το Πεκίνο «δεν έχει κανένα δικαίωμα να εκπροσωπεί την Ταϊβάν», είχε διαβεβαιώσει ο Λάι, περιγράφοντας την Ταϊβάν ως ένα μέρος όπου «η δημοκρατία και η ελευθερία αναπτύσσονται και ευδοκιμούν». Αν και ο Λάι δεν έδωσε καμία ένδειξη ότι θα επιδιώξει την ανεξαρτησία ή θα επιδιώξει να αλλάξει το
05:32 13/11/2024

Ταϊβάν: «Καμία εμπλοκή στις εκρήξεις βομβητών της Χεζμπολάχ» – «Εγώ έδωσα την εντολή» είπε ο Νετανιάχου

Newsit
«Έκλεισε» η περιβόητη υπόθεση με τους βομβητές μελών της Χεζμπολάχ που εξερράγησαν τον περασμένο Σεπτέμβριο, αφού μετά την παραδοχή του Πρωθυπουργού του Ισραήλ, η εισαγγελία της Ταϊβάν απέρριψε κάθε εμπλοκή της χώρας. Ο εκπρόσωπος του Μπέντζαμιν Νετανιάχου δήλωσε χθες (10.11.2024) ότι ο Πρωθυπουργός του Ισραήλ αποκάλυψε στο υπουργικό συμβούλιο ότι αυτός έδωσε την εντολή να ... Περισσότερα To άρθρο Ταϊβάν: «Καμία εμπλοκή στις εκρήξεις βομβητών της Χεζμπολάχ» – «Εγώ έδωσα την εντολή» είπε ο Νετανιάχου δημοσιεύτηκε στο NewsIT .
15:46 11/11/2024

Μέση Ανατολή: Η Ταϊβάν δεν εμπλέκεται στην έκρηξη βομβητών στον Λίβανο, λέει η εισαγγελία της

ProtoThema.gr
Σύμφωνα με έρευνα των New York Times, το Ισραήλ εισήγαγε εκρηκτικά σε φορτίο βομβητών που προέρχονταν από την ταϊβανέζικη επιχείρηση Gold Apollo
14:36 11/11/2024

Κίνα: Αυτό είναι το καφέ του τρόμου στην Ταϊβάν με θέα που "κόβει" την ανάσα

Παραπολιτικά
Ένας ξύλινος πάγκος σε έναν πανύψηλο βράχο, πάνω από τη θάλασσα, αλλά με εκπληκτική θέα, είναι αυτά που θα βρει στο πιο ασυνήθιστο καφέ, στην Κίνα
17:46 08/11/2024

«Η Κίνα είναι σύμμαχος της Μόσχας, στηρίζω τη στάση της απέναντι στην Ταϊβάν», λέει ο Πούτιν

Newsbeast.gr
Ο πρόεδρος της Ρωσίας Βλαντίμιρ Πούτιν χαρακτήρισε την Πέμπτη 8/11 την Κίνα σύμμαχο της χώρας του και πρόσφερε τη στήριξή του στις κινεζικές διεκδικήσεις απέναντι στην Ταϊβάν δηλώνοντας ότι καμία χώρα δεν έχει κάτι να φοβηθεί από την ενίσχυση της σινορωσικής συνεργασίας. Οι δύο χώρες δεν έχουν συνάψει επισήμως στρατιωτική συμμαχία, αλλά ο Πούτιν και ο Κινέζος πρόεδρος Σι Τζινπίνγκ υπέγραψαν μια «άνευ ορίων» συμφωνία συνεργασίας το 2022, λιγότερο από τρεις εβδομάδες προτού ο Πούτιν στείλει στρατεύματα στην Ουκρανία. Τον περασμένο Μάιο συμφώνησαν να ενισχύσουν την «εκτενή εταιρική σχέση και τη στρατηγική συνεργασία» τους για μια νέα εποχή. «Δεν θεωρούμε ότι η Κίνα επιδιώκει μια επιθετική πο
13:03 08/11/2024

Ο αντίκτυπος της νίκης του Τραμπ στις σχέσεις ΗΠΑ – Κίνας

militaire.gr
Η Κίνα ακολούθησε το σύνηθες πρωτόκολλο για να συγχαρεί τον νικητή των αμερικανικών προεδρικών εκλογών και τον νέο πρόεδρο στον Λευκό Οίκο. Επισήμως, η κινεζική κυβέρνηση παρουσίασε ουδέτερη θέση για τις εκλογές, χαρακτηρίζοντάς τες ως "εσωτερικό θέμα των Ηνωμένων Πολιτειών της Αμερικής". κινεζικές αναλύσεις δείχνουν στο πλαίσιο αυτό τον βαθμό στον οποίο τα αποτελέσματα των αμερικανικών προεδρικών εκλογών θα επηρεάσουν τις προοπτικές ειρήνης στην περιοχή Ασίας-Ειρηνικού και στην περιοχή γύρω από την Κίνα, όπως το ζήτημα της Ταϊβάν και οι συμμαχίες των ΗΠΑ στην περιοχή εναντίον της Κίνας. Άλλοι κινεζικοί φόβοι κανουν λόγο για μείωση του όγκου των εμπορικών ανταλλαγών με τις Ηνωμένες Πολιτείες τη
05:26 08/11/2024

Προειδοποίηση για πλημμύρες και κατολισθήσεις στη δυτική Ιαπωνία – Χιλιάδες εγκαταλείπουν τις εστίες τους

Newsbeast.gr
Σχεδόν διακόσιες χιλιάδες κάτοικοι πόλης της δυτικής Ιαπωνίας κλήθηκαν να απομακρυνθούν εσπευσμένα σήμερα καθώς οι αρχές φοβούνται κατολισθήσεις και πλημμύρες εξαιτίας ισχυρών βροχοπτώσεων μετά το πέρασμα τυφώνα. Η πόλη Ματσουγιάμα, στον νομό Έχιμε, «εξέδωσε προειδοποίηση (…) ζητώντας από 189.552 κατοίκους δέκα συνοικιών της να απομακρυνθούν εσπευσμένα και να αναζητήσουν αμέσως καταφύγιο», είπε στο Γαλλικό Πρακτορείο αξιωματούχος του δήμου. Ωστόσο δεν είναι υποχρεωτικό οι κάτοικοι να εγκαταλείψουν τα σπίτια τους. Σύμφωνα με την ιαπωνική μετεωρολογική υπηρεσία, «ο θερμός και υγρός αέρας (…) προκαλεί ισχυρές βροχές συνοδευόμενες από θύελλες στη δυτική Ιαπωνία», εν μέρει εξαιτίας
18:32 02/11/2024

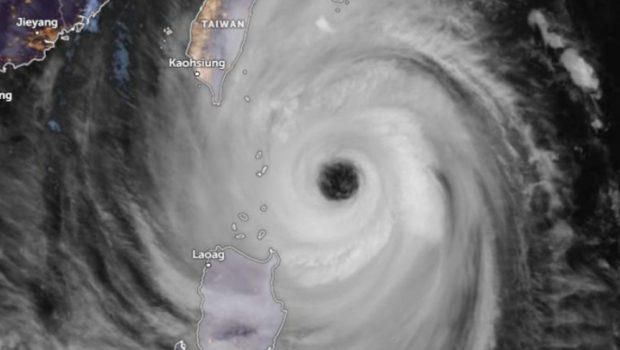
Ταϊβάν: Βίντεο από το καταστροφικό πέρασμα του τυφώνα Κονγκ-ρέι - Δυο οι νεκροί, πάνω από 500 τραυματίες

ProtoThema.gr
Ο τυφώνας έπληξε όλη την Ταϊβάν, ξεριζώνοντας δέντρα, προκαλώντας πλημμύρες και κατολισθήσεις - Δείτε βίντεο
08:27 01/11/2024

Ταϊβάν: Κύματα ύψους πέντε μέτρων προκαλεί ο τυφώνας Κονγκ-ρέι, χιλιάδες άνθρωποι εγκαταλείπουν τα σπίτια τους

in.gr
Προς την Ταϊβάν κατευθύνεται ο τυφώνας Κονγκ-ρέι με αποτέλεσμα χιλιάδες να φεύγουν άρον άρον από τα σπίτια τους για να γλιτώσουν από τη μανία του
20:28 30/10/2024

Την Ταϊβάν πλησιάζει ο ισχυρός τυφώνας Κονγκρέι: Κύματα 5 μέτρων και εκκενώσεις σπιτιών

Newsit
Κύματα ύψους πέντε μέτρων σάρωσαν τις ακτές της Ταϊβάν σήμερα (30.10.2024), καθώς προσεγγίζει τη χώρα ο τυφώνας Κονγκρέι. Οι μετεωρολόγοι να προβλέπουν ότι ο τυφώνας θα ενισχυθεί προτού φθάσει στην Ταϊβάν και αναμένεται να είναι μία από τις ισχυρότερες που θα πλήξουν την περιοχή εδώ και χρόνια. Η ταχύτητα των θυελλωδών ανέμων που συνοδεύουν τον ... Περισσότερα To άρθρο Την Ταϊβάν πλησιάζει ο ισχυρός τυφώνας Κονγκρέι: Κύματα 5 μέτρων και εκκενώσεις σπιτιών δημοσιεύτηκε στο NewsIT .
19:55 30/10/2024

Wall Street Journal: Οι μυστικές επαφές του Έλον Μασκ με τον Πούτιν – Τα θέματα που συζητούν τακτικά

Newsbeast.gr
Ο αμερικανός δισεκατομμυριούχος τεχνολογίας, Έλον Μασκ, βρίσκεται σε τακτική επικοινωνία με τον ρώσο πρόεδρο, Βλαντίμιρ Πούτιν, από τα τέλη του 2022, σύμφωνα με την εφημερίδα The Wall Street Journal. Όπως αναφέρει το δημοσίευμα, οι συνομιλίες καλύπτουν προσωπικά θέματα, επιχειρηματικά συμφέροντα και γεωπολιτικές εντάσεις. Οι συζητήσεις επιβεβαιώθηκαν, όπως αναφέρεται, από πολλούς νυν και πρώην αξιωματούχους των ΗΠΑ, της Ευρώπης και της Ρωσίας. Το δημοσίευμα, επικαλούμενο δύο άτομα με γνώση του θέματος, ανέφερε ότι κάποια στιγμή, ο Πούτιν ζήτησε από τον Μασκ να μην ενεργοποιήσει την υπηρεσία δορυφορικού ίντερνετ Starlink στην Ταϊβάν, ως χάρη προς τον κινέζο πρόεδρο, Σι Τζινπίνγκ. Φέτος, ο
14:48 25/10/2024

Η Angelini Pharma σε συμφωνία με την Cureverse για την ανάπτυξη μορίου σχετικά με την υγεία του εγκεφάλου

Newsbeast.gr
Η Angelini Pharma, μέρος της ιδιόκτητης Angelini Industries, και η Cureverse Inc., μια εταιρεία με πεδίο δραστηριοποίησης το πρώιμο στάδιο έρευνας και ανάπτυξης φαρμάκων, ανακοίνωσαν ότι σύναψαν συμφωνία αποκλειστικών παγκόσμιων δικαιωμάτων προαίρεσης για την ανάπτυξη και την εμπορική εκμετάλλευση του CV-01, ενός καινοτόμου μορίου της Cureverse που αφορά την υγεία του εγκεφάλου. Στο πλαίσιο των όρων της συμφωνίας, η Angelini Pharma θα αναλάβει εξολοκλήρου την ανάπτυξη του CV-01 και έπειτα από μια αρχική περίοδο επιλογής, θα έχει δικαίωμα να αποκτήσει την άδεια για την αποκλειστική ανάπτυξη και εμπορική εκμετάλλευση της ουσίας σε παγκόσμιο επίπεδο, εκτός από τη Δημοκρατία της Κορέας, την Κ
21:22 24/10/2024

Ισραήλ: Η Μοσάντ είχε κατασκευάσει η ίδια τις μπαταρίες των βομβητών που διέλυσαν τη Χεζμπολάχ

ProtoThema.gr
Η μπαταρία «φονικό σάντουιτς» και ο ρόλος της εταιρείας από την Ταϊβάν - Ένα από τα πλέον θεαματικά σε σχεδιασμό και εκτέλεση χτυπήματα ενάντια στη Χεζμπολάχ που ενεργοποίησε το Ισραήλ
16:45 18/10/2024

Ταϊβάν: 153 μαχητικά αεροσκάφη της Κίνας κάνουν ασκήσεις γύρω από τη χώρα

militaire.gr
Το υπουργείο Άμυνας της Ταϊβάν ανακοίνωσε σήμερα ότι κατά το τελευταίο 24ωρο εντόπισε 153 κινεζικά πολεμικά αεροσκάφη να επιχειρούν περιμετρικά της νήσου, στην διάρκεια μιας περιόδου, κατά την οποία, το Πεκίνο πραγματοποιεί ένα νέο γύρο στρατιωτικών ασκήσεων. Η Ιαπωνία εξέφρασε στο Πεκίνο τις ανησυχίες της για τις κινεζικές στρατιωτικές ασκήσεις περιμετρικά της Ταϊβάν Η Ιαπωνία εξέφρασε στην Κίνα την ανησυχία της για τις στρατιωτικές ασκήσεις που πραγματοποιήθηκαν χθες περιμετρικά της Ταϊβάν, δήλωσε ο αναπληρωτής υπουργός Προεδρίας της κυβέρνησης, Καζουχίκο Αόκι στη διάρκεια μιας συνέντευξης Τύπου. “ Είμαστε ενήμεροι για τις χθεσινές στρατιωτικές ασκήσεις που πραγματοποίησε η Κίνα περιμετρικά τ
07:51 15/10/2024

Εντοπίστηκαν 153 πολεμικά αεροσκάφη που επιχειρούσαν στην περίμετρο της Ταϊβάν κατά το τελευταίο 24ωρο

Newsbeast.gr
Το υπουργείο Άμυνας της Ταϊβάν ανακοίνωσε την Τρίτη 15/10 πως κατά το τελευταίο 24ωρο εντοπίστηκαν 153 κινεζικά πολεμικά αεροσκάφη να επιχειρούν περιμετρικά της νήσου. Η εν λόγω ανακοίνωση έγινε στη διάρκεια μιας περιόδου, κατά την οποία, το Πεκίνο πραγματοποιεί ένα νέο γύρο στρατιωτικών ασκήσεων. Πηγή: ΑΠΕ
07:20 15/10/2024

Πάνω από 150 Κινεζικά μαχητικά έχουν «περικυκλώσει» την Ταϊβάν – Ανησυχία από Ιαπωνία

Newsit
Ηλεκτρισμένη είναι η ατμόσφαιρα στην ανατολική Ασία, πάνω από την Ιαπωνία και την Ταϊβάν. Το υπουργείο Άμυνας της Ταϊβάν ανακοίνωσε σήμερα (15.10.2024) ότι κατά το τελευταίο 24ωρο εντόπισε 153 κινεζικά πολεμικά αεροσκάφη να επιχειρούν περιμετρικά της νήσου, στην διάρκεια μιας περιόδου, κατά την οποία, το Πεκίνο πραγματοποιεί ένα νέο γύρο στρατιωτικών ασκήσεων. Στο μεταξύ, η ... Περισσότερα To άρθρο Πάνω από 150 Κινεζικά μαχητικά έχουν «περικυκλώσει» την Ταϊβάν – Ανησυχία από Ιαπωνία δημοσιεύτηκε στο NewsIT .
07:01 15/10/2024

Φορτώνουμε νέα post...

End of content

No more pages to load